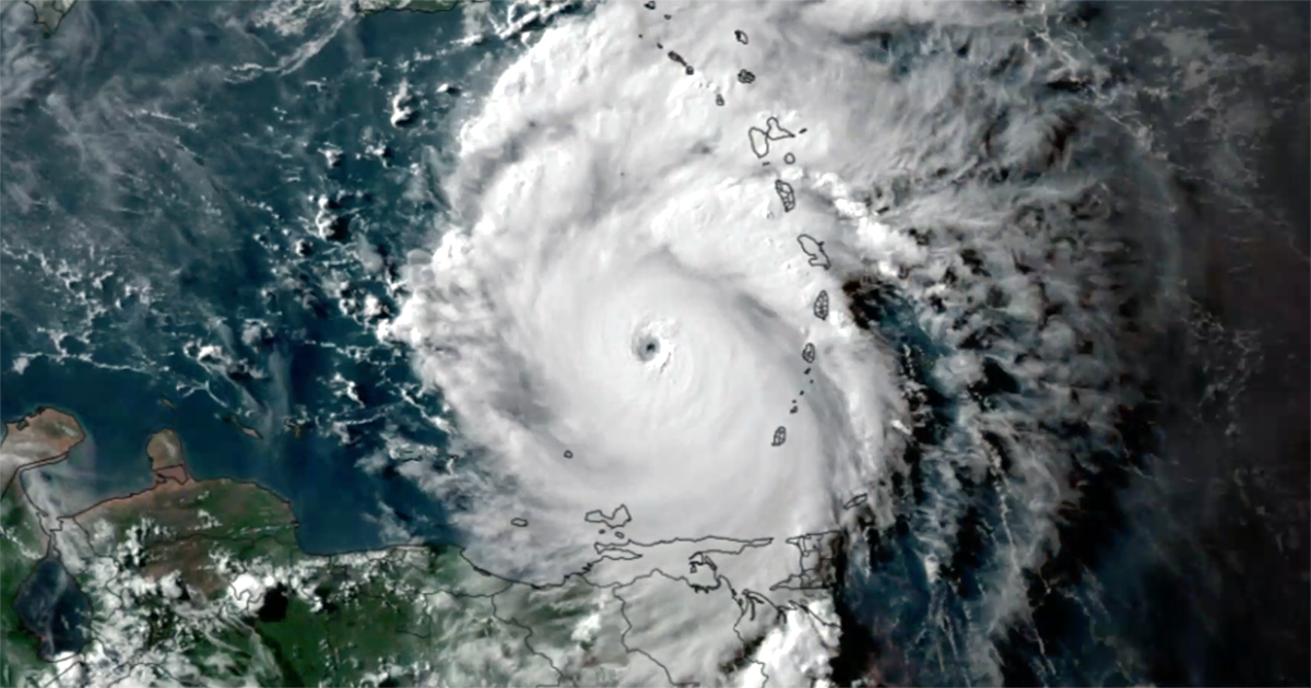
Hurricane Beryl 2024 Map . Beryl, the season's earliest category 5 hurricane, weakened to a tropical depression after hitting texas and is now moving northeastward. Tropical storm beryl strengthened into a category 1 hurricane on before making landfall at about 5 a.m.
John is the 10th named storm of the. Earlier this year, hurricane beryl broke records when it became the earliest hurricane ever to reach category 4 and then category 5 intensity in the atlantic basin,.
Hurricane Beryl 2024 Map Images References :
Source: betpergiris7.com
Tracking Hurricane Beryl and extreme heat for Sunday🌪 Explore sites de , Find the latest news, advisories, and forecasts for tropical storms and hurricanes in the atlantic, eastern pacific, and central pacific.
Source: betpergiris7.com
Tracking Hurricane Beryl and extreme heat for Sunday🌪 Explore sites de , See the latest updates on power outages, flooding,.
Source: dailyvoice.com
Tropical Storm Beryl Expected To Make Landfall In US As Hurricane, Then , The national hurricane center said it was later downgraded to a tropical storm.
Source: dailyvoice.com
Rapidly Strengthening New Tropical Storm Expected To First , Beryl, the season's earliest category 5 hurricane, weakened to a tropical depression after hitting texas and is now moving northeastward.
Source: stylemagazine.com
Visualizing how the 2024 hurricane season compares to past years , Tropical storm beryl strengthened into a category 1 hurricane on before making landfall at about 5 a.m.
Source: bertybnicolea.pages.dev
Hurricane Beryl 2024 New Orleans Map Miran Malorie , Track the path of tropical storm beryl, which weakened from a category 5 hurricane to a tropical depression after hitting texas and louisiana.
Source: betpergiris7.com
Tracking Hurricane Beryl and extreme heat for Sunday🌪 Explore sites de , Hurricane helene is moving through the gulf of mexico early thursday, growing and pushing up to 20 feet of storm surge toward florida's shores.
Source: bertybnicolea.pages.dev
Hurricane Beryl 2024 New Orleans Map Miran Malorie , Earlier this year, hurricane beryl broke records when it became the earliest hurricane ever to reach category 4 and then category 5 intensity in the atlantic basin,.
Source: frannyybrigida.pages.dev
Hurricane Beryl 2024 Louisiana Map Emylee Winifred , See the storm's wind speed, pressure, location and.
Source: luceycathleen.pages.dev
Storm Beryl Tracking 2024 Map Mira Melania , The national hurricane center said it was later downgraded to a tropical storm.